Loading...
TERRAIN RESIDENTIEL - 1140 M² PRO
Rs 7 000 000
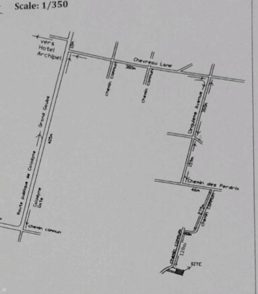
NORD / Calodyne
19 sept. 11:30
-
Type de bien : Terrain résidentiel Surface terrain : 1140 Mètre(s) carré(s) = 27 Perche(s) = 0.27 Arpent(s) = 300 Toise(s) = 12667 Pied(s) carré(s) Services : Vue mer, Ecole à proximité, Commerces à proximité, Plage à proximité, Hôpital / Clinique à proximité, Arrêt de bus à proximité -
Description :
Occasion rare
Parfait pour projet immobilier / appartement / villa
Land For Sale in Calodyne
27 perches
7M neg
Référence de l'annonce : 537846
Contacter via whatsapp
FR
EN